Наименование услуги
Бурение на воду, обнаружение воды в скважинах. с георадаром до 3000 метров.
Описание услуги
Поиск и разведка подземных вод - ООО "Геогидропроект".
Откройте для себя подземные водные ресурсы с помощью самых современных технологий!
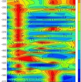
ООО "Геогидропроект" предлагает бурение на воду, геофизическую и гидрогеологическую разведку, а также обнаружение источников подземных вод с помощью георадара и специализированного оборудования.
Мы работаем по всей Болгарии и гарантируем конкурентоспособные цены!
Наши услуги:
Гидрогеологические и геофизические исследования
Поиск подземных вод с помощью георадара
Определение глубины залегания и дебита водоносного горизонта
Бурение на воду - бентонитовое бурение и пневмоударное бурение
Регистрация скважин для юридических лиц
Рытье колодцев, чистка колодцев.
Почему выбирают нас?
Точность и эффективность - мы используем георадар и дистанционные методы для максимальной точности.
Вы экономите деньги - предварительный отбор предотвращает затраты на пустые скважины.
Дополнительные услуги:
Радиэстезическая разведка (с багетами) - £100/акр
Бурение на воду - пневматическое ударное и бентонитовое бурение
Очистка скважин
Определение водоносного горизонта и регистрация скважин (для компаний - 4000 лв. до 100 м)
Специальное предложение - Конкурентные цены!
Вы нашли более низкое предложение? Мы предложим вам еще более выгодную цену!
Как получить выгоду?
Отправьте ваше имя, адрес участка, район и номер телефона на Viber,
Укажите ссылку на предложение с более низкой ценой
Дождитесь нашего предложения с еще более выгодной ценой!
Свяжитесь с нами сегодня!
Мы работаем по всей Болгарии
Не рискуйте с непроверенными предложениями! Проведите исследование заранее и сэкономьте время и деньги!
Откройте для себя подземные водные ресурсы с помощью самых современных технологий!
ООО "Геогидропроект" предлагает бурение на воду, геофизическую и гидрогеологическую разведку, а также обнаружение источников подземных вод с помощью георадара и специализированного оборудования.
Мы работаем по всей Болгарии и гарантируем конкурентоспособные цены!
Наши услуги:
Гидрогеологические и геофизические исследования
Поиск подземных вод с помощью георадара
Определение глубины залегания и дебита водоносного горизонта
Бурение на воду - бентонитовое бурение и пневмоударное бурение
Регистрация скважин для юридических лиц
Рытье колодцев, чистка колодцев.
Почему выбирают нас?
Точность и эффективность - мы используем георадар и дистанционные методы для максимальной точности.
Вы экономите деньги - предварительный отбор предотвращает затраты на пустые скважины.
Дополнительные услуги:
Радиэстезическая разведка (с багетами) - £100/акр
Бурение на воду - пневматическое ударное и бентонитовое бурение
Очистка скважин
Определение водоносного горизонта и регистрация скважин (для компаний - 4000 лв. до 100 м)
Специальное предложение - Конкурентные цены!
Вы нашли более низкое предложение? Мы предложим вам еще более выгодную цену!
Как получить выгоду?
Отправьте ваше имя, адрес участка, район и номер телефона на Viber,
Укажите ссылку на предложение с более низкой ценой
Дождитесь нашего предложения с еще более выгодной ценой!
Свяжитесь с нами сегодня!
Мы работаем по всей Болгарии
Не рискуйте с непроверенными предложениями! Проведите исследование заранее и сэкономьте время и деньги!
Добавлено
6 месяцев назад
Телефон
+359 8767XXXXX
Страна
Болгария
Область
Ловеч
Город
Ловеч
Адрес
Вароша
- 262 Просмотра(ов)
